¿A qué hora va a llover hoy en CDMX? Es la pregunta que nos hacemos luego de las fuertes lluvias que han ocurrido estos días en el Valle...
La comunidad de San Antonio del Monte ubicada en San Cristóbal de las Casas, Chiapas, quemó los nuevos libros de texto de la Secretaría de Educación Pública que tanta...
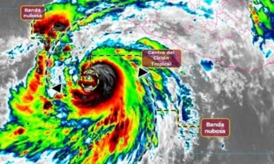
El huracán “Hilary” ya comenzó a hacer estragos en la CDMX y otras partes del Valle de México. Es mejor que saques el paraguas porque todo parece indicar que las...
Lo que necesitas saber: Burla o no, lo que importa es que AMLO omitió hablar sobre uno de los casos que más han indignado a la...
El triunfo de Wendy Guevara en la primera edición del reality show “La Casa de los Famosos” ha provocado miles de reacciones, muchas de ellas de famosas...
Lo que necesitas saber: Parece que la reventa y los fraudes por boletos podrían terminarse. Esto es SafeTix, el nuevo boleto digital de Ticketmaster en México....
Más de 4,000 títulos de ciencia, literatura, filosofía y otras disciplinas se venderán con descuentos de hasta 80% en el Gran Remate de Libros de la UNAM...
Desde una fábrica de colchones en Iztapalapa, donde asistió un grupo limitado de empresarios y simpatizantes, el aspirante en el proceso interno para definir la coordinación...
El hermano del Presidente Andrés Manuel López Obrador, Pío López Obrador, afirmó que Marcelo Ebrard ganará la encuesta interna de Morena y posteriormente, la presidencia de la República en...
El Instituto Electoral de la Ciudad de México (IECM) anunció las fechas para el registro de candidatas y candidatos sin partido que deseen participar en las elecciones de 2024....